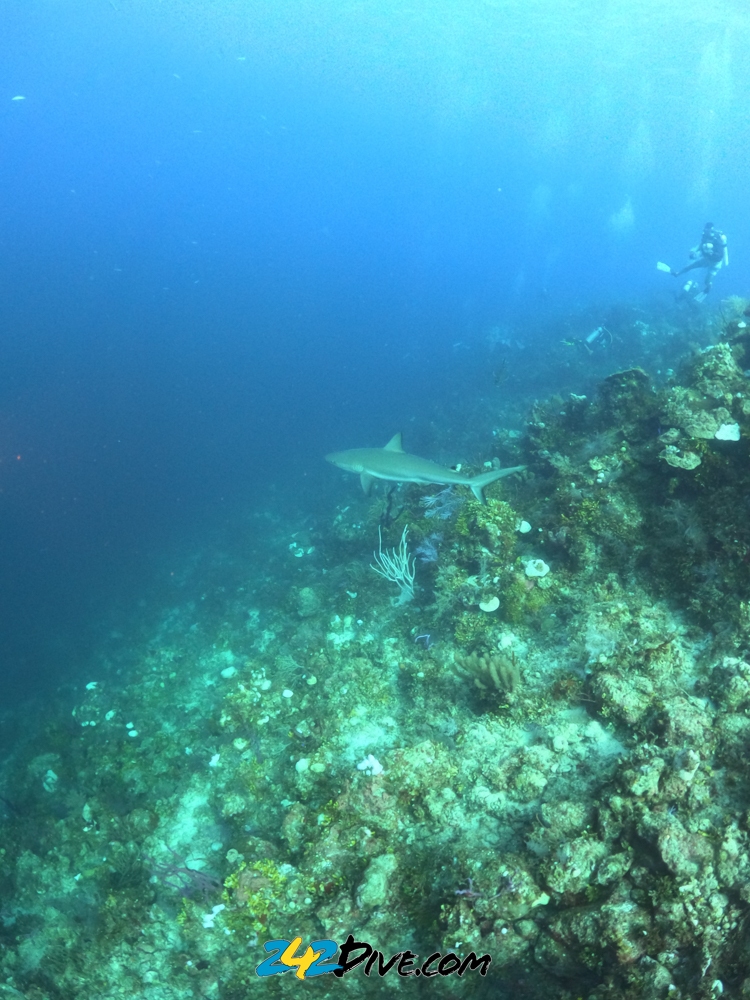
Overview
Operator STUART COVES
Conditions Small swells
Diver/s Rene

Profile:
Location:

The Ridge

Thoughts:
So first an apology for not updating as often as I normally do.  I could blame the green water with very limited visibility (yeah, yeah I hear you say@!) for putting a dampening effect in my head.  However, even with that we are blessed to live and dive in the Bahamas.  I am often asked how I handle diving the same sites over and over again.  The answer is really simple, whenever I put my head under the water, I see new and amazing things.  Well, as I mentioned on Facebook, we are starting to get the famous blue back and I really hope you like the photos below …